Tierheim Verlorenwasser

Tierheim Verlorenwasser

Pechvogel Felipa

01Felipas Vorderpfötchen ist nach der ersten Operation gut verheilt. Nun sollte eigentlich das 2. Vorderbeinchen drankommen und ebenso gerichtet werden.

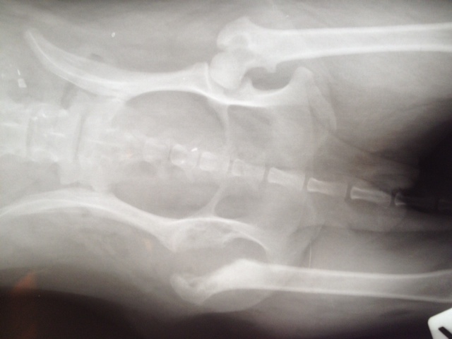
Aber Felipa ließ das eine Hinterbeinchen neuerdings so eigenartig hängen und trat nicht mehr damit auf. Also ließen wir es abklären. Es stellte sich heraus, dass sich der Knorpel des Oberschenkelhalskopfes zersetzt.

Die Ursache dafür sind genetisch bedingte Durchblutungsstörungen. Das kommt bei einigen kleineren Rassen vor. Es hat nichts mit der OP am Vorderbein zu tun.

Aber da Felipa das Hinterbein nicht ordnungsgemäß benutzen kann, musste sie also nun erst dort operiert werden, damit sie hinten auftreten kann, wenn das andere Vorderbein operiert wird.

Wir waren entsetzt, als wir es erfuhren. Aber es hilft ja nunmal nichts: Wer A sagt, muss auch B sagen.

Also hatte Felipa heute (01.08.) ihre 2.OP - allerdings wie gesagt ganz anders als geplant. Der Chirurg entfernte den kaputten Knorpel, wie man auch als Laie an den Aufnahmen gut erkennen kann.

Nun heißt es wieder Daumen drücken - und die nächsten Rechnungen zahlen.

Liebe Tierfreunde: bitte, bitte, ...



Unser Spendenkonto

Tierheim Verlorenwasser

Kontonummer: 35 27 00 34 00

Mittelbrandenburgische Sparkasse

Bankleitzahl: 160 500 00

Kontakt

Tierheim Verlorenwasser
Verlorenwasser 17
14806 Bad Belzig, OT Werbig

Tel.: 033 847 - 41 890

Spendenkonto

Spendenkonto: 35  27 00 34 00
BLZ: 160 500 00
Mittelbrandenburgische Sparkasse

IBAN: DE05 1605 0000 3527 0034 00
BIC: WELADED1PMB

Wir brauchen Ihre Hilfe,

denn wir erhalten keinerlei staatliche Hilfe, sondern finanzieren das Tierheim aus Spenden und Erbschaften.

Wir sind als gemeinnützig und besonders förderungswürdig anerkannt und dürfen Spendenbescheinigungen ausstellen.

Wir benutzen Cookies

Wir nutzen Cookies auf unserer Website. Einige von ihnen sind essenziell für den Betrieb der Seite, während andere uns helfen, diese Website und die Nutzererfahrung zu verbessern. Sie können selbst entscheiden, ob Sie die Cookies zulassen möchten. Bitte beachten Sie, dass bei einer Ablehnung womöglich nicht mehr alle Funktionalitäten der Seite zur Verfügung stehen.